地籍調査の概要
地籍調査の内容
人に「戸籍」があるように、土地には「地籍」があります。戸籍は人に関する記録であり、地籍は土地に関する記録です。地籍調査は、毎筆の土地についてその所有者、地番及び地目の調査並びに境界及び地籍に関する測量を行い、その結果を地図及び簿冊に作成するものです。
市町村が事業主体となり、事業を実施し、その成果は国土交通大臣又は都道府県知事の認証を受けた後、その写しが市町村において保管され税務行政や土地利用計画の策定、各種公共事業の実施等に際し、土地に関する基礎資料として多方面にわたり利活用されています。また、これらの成果は登記所に送付され、これに基づいて土地の登記簿が書き改められることになっており、また、地籍図の写しは登記所に備え付けられることになっています。
地籍調査の目的
土地に関する記録として広く利用されている公図の多くは、明治時代の地租改正事業によって作られた地図(字限図)を基礎としたものが多く、面積等が正確ではないことはよく知られています。特に、当時作成された字限図は、国民自身による局地的な測量によるもので、経緯度との関連づけもなく、現地と大きく食い違いが生じているものもあります。地籍調査はこのような状況を改善することを目的として実施するものです。
地籍調査の基本方針
地籍調査の基本方針は、土地に関する権利関係を新たに創設することではなく、現存する登記の内容を前提として調査を行い、境界等についても、各種資料に基づいて、既にある境界等を現地に復元した上で現況を調査します。
地籍調査の成果
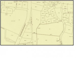
公図(地籍調査前)
地籍図(地籍調査後)
詳しくは、国土交通省ホームページ(外部サイトへ移動します)をご覧ください。


